مطارات عمان تعلن 423 فرصة عمل
18 سبتمبر، 2024
شركة سورييكا تعلن وظائف شاغرة
19 ديسمبر، 2025
جمعية الرحمة لرعاية الأمومة والطفولة تعلن وظيفة شاغرة
19 ديسمبر، 2025
هيئة المشاريع والمناقصات والمحتوى المحلي تعلن وظائف شاغرة
19 ديسمبر، 2025
انتهاء عملية إجلاء السكان من جزر الحلانيات إلى ولاية صلالة بمحافظة ظفار.
عُقِدت اليوم في ولايات محافظة ظفار اجتماعات تحضيرية برئاسة أصحاب السعادة الولاة؛ لمناقشة آخر المستجدات وجاهزية الجهات الخدمية بالولايات نظرًا ...
أعلنت شركة كفير عمان عن شواغر وظيفية في مجال الصحة والسلامة والبيئة HSE في وذلك لمن لديهم الخبرة في المجال ...
أعلن مكتب أحمد كشوب للمحاماة و الإستشارات القانونية عن توظيف محاميين تحت التدريب او كل من إجتاز فترة التدريب ومقيداً ...
الخابورة/ مازن السعيدي في ضوء الشراكة بين مختلف المؤسسات بالسلطنة نفذت دائرة البلدية بالخابورة ممثلة بالأقسام المختصة حملة مشتركة مع ...
1)لا سيادة تعلو فوق جبروت البارود، ولا حياة أجمل من دمٍ قانٍ في شوارع غزة، ولا مثيل لإرهاب في العالم ...
أعلنت شركة مسقط للمقاصة والإيداع عن رغبتها بتعيين لديها: ١. محاسب - صندوق أمانات المستثمرين.٢. سكرتير تنفيذي. . آخر موعد ...
أعلنت شركة القلاف البحرية عن رغبتها بتعيين لديها مصممة جرافيك. الشروط : . التقديم متاح للاناث فقط.. أن تكون المتقدمة ...
أعلنت شركة وسط الخليج للترجمة القانونية عن وظيفة شاغرة (مترجمة). الشروط: . يفضل أن تكون المتقدمة من سكان محافظة مسقط.. ...
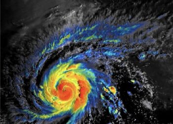
بدء تأثير الإعصار تيج على أجزاء متفرقة من محافظة ظفار بتدفق كتل من السحب وهطول أمطار متفاوتة الغزارة. - الإعصار ...
أعلنت كلية عُمان للعلوم الصحية بالتنسيق مع وزارة العمل عن شواغر لوظائف تدريسية في برامج و فروع الكلية فعلى من ...
وزارة الصحة وبالتنسيق مع اللجنة الوطنية لإدارة الحالات الطارئة تُقرِّر إخلاء مستشفى السُّلطان قابوس بصلالة بمحافظة ظفار، على أن تُستقبَل ...
"ركيزة" تستحوذ على نسبة 39% من أسهم مجموعة إذكاء في الشركة العمانية للنطاق العريض وقع الصندوق العماني لاستثمارات البنية الأساسية ...
وقع التحالف الذي يتألف من أوكيو – المجموعة العالمية المتكاملة للطاقة – ممثلة في قطاع الطاقة البديلة و ومجموعة أسياد – ...
يواصل مكتب محافظ البريمي العمل على تنفيذ عدد من المشاريع التنموية والإشراف عليها في مختلف ولايات المحافظة؛ بهدف تطوير قطاع ...
أوضحت إدارة التراث والسياحة بمحافظة جنوب الباطنة أن عدد المعالم التاريخية والأثرية بولايات المحافظة التي تم حصرُها حتى نهاية شهر ...
مطلوب موظفين لشركة ميـاه في مسقط كاتب علاقات عامة – عدد 1 إجادة اللغة العربية والانجليزية قراءة وكتابةإجادة استخدام الحاسب ...
يسهم 5134 صيادًا وأكثر من 2411 قاربًا وسفينة صيد في تعزيز الإنتاج السمكي لمحافظة الوسطى؛ لتتصدر المرتبة الأولى بأعلى نسبة ...
مسقط في 22 أكتوبر /العُمانية/ تواصل اللجنة العسكرية الرئيسية لإدارة الحالات الطارئة بقوات السلطان المسلحة اجتماعاتها للوقوف على كافة الاستعدادات ...
نشرت الأرصاد الجوية العمانية المسار المتوقع للإعصار المداري #تيج خلال الفترة القادمة.
You cannot copy content of this page